Com proposta turística e ambiental, este novo Espaço estará aberto a partir de 12 de outubro e é ótima opção para a criançada curtir
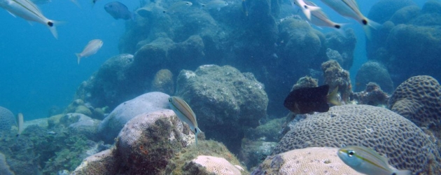
Em meio ao agito da Rua do Mucugê, em Arraial d’Ajuda, uma novidade com proposta ambiental: o Espaço Coral Vivo Mucugê. Como ele está em uma das regiões mais ricas do país em biodiversidade marinha, a intenção é aproveitar a alta circulação de turistas e moradores para transmitir informações sobre a importância da conservação dos recifes de coral. Trata-se de uma iniciativa do Projeto Coral Vivo, que conta com o patrocínio da Petrobras por meio do Programa Petrobras Ambiental e com o co-patrocínio do Arraial d’Ajuda Eco Parque. A visitação gratuita poderá ser feita a partir do dia 12 de outubro, sempre de quinta a domingo, das 17h às 23h.
“Acreditamos que oferecer essa nova atração turística é fundamental visto que nas redondezas ficam áreas de proteção integral: o Parque Municipal Marinho do Recife de Fora e o Parque Municipal Marinho de Coroa Alta”, relata o biólogo Clovis Castro, coordenador do Projeto Coral Vivo, que atua na região desde 2004. No Espaço Coral Vivo Mucugê, estarão expostas, por exemplo, colônias centenárias de cinco espécies encontradas na Bahia, como corais cérebro e corais-de-fogo – pertencentes ao acervo do Museu Nacional/UFRJ, que foram emprestadas ao Projeto Coral Vivo.
O espaço de 200 m² contará também com uma maquete do Centro de Visitantes e Base de Pesquisas do Coral Vivo – que fica no Arraial d’Ajuda Eco Parque, e com painéis visuais sobre a biodiversidade marinha e os recifes da região, além das ações desse projeto sem fins lucrativos. Haverá ainda uma loja com produtos exclusivos sobre a temática marinha brasileira com a marca Coral Vivo. “Todos os recursos serão revertidos para ações de conservação marinha, incluindo pesquisa, educação e mobilização social”, explica a bióloga Débora Pires, coordenadora de comunicação do Projeto Coral Vivo e presidente da Associação Amigos do Museu Nacional (Samn).
Esse é o terceiro ponto turístico do Projeto Coral Vivo com informações de conservação de ambientes coralíneos. Além do primeiro que está dentro do Arraial d’Ajuda Eco Parque, foi inaugurado em dezembro de 2011 no Rio de Janeiro o Centro de Visitantes do Parque dos Corais de Búzios.
Espaço Coral Vivo Mucugê
Aberto ao público a partir de: 12 de outubro de 2012.
Entrada gratuita.
Funcionamento: De quinta a domingo, das 17h às 23h. Abrirá também nos feriados prolongados.
Rua do Mucugê, 402, Arraial d’Ajuda, Porto Seguro, Bahia.
Mais informações sobre o Projeto Coral Vivono site .










